
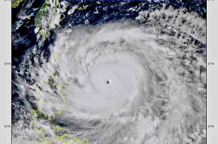
Bão Ragasa mạnh lên thành siêu bão, sẽ đổi hướng đi vào vịnh Bắc Bộ
Siêu bão Ragasa sẽ duy trì cường độ cấp 16-17 này khi vào Biển Đông, trở thành cơn bão mạnh nhất trên Biển Đông từ đầu mùa bão 2025.

Siêu bão Ragasa sẽ duy trì cường độ cấp 16-17 này khi vào Biển Đông, trở thành cơn bão mạnh nhất trên Biển Đông từ đầu mùa bão 2025.

Mưa lớn kèm lốc xoáy bất thường vừa xảy ra vào sáng sớm nay, ngày 28/7, tại xã Ninh Thạnh Lợi (tỉnh Cà Mau). Tổng cộng 22 căn nhà dân bị sập và tốc mái…

Giáo hội Phật giáo Việt Nam tỉnh Quảng Ninh đang xúc tiến Dự án xây dựng Bảo tượng Bồ tát Quan Thế Âm rộng hơn 25,6ha, dựng tượng cao hơn 34m, trong vùng rừng đặc…

Du khách đang tắm biển và nghỉ ngơi trên bãi cát, hốt hoảng sơ tán khi nước thải đen ngòm, chảy xối xả từ miệng cống thẳng xuống bãi biển Nhơn Lý (phường Quy Nhơn…

Các cá nhân, doanh nghiệp sản xuất sản phẩm tái chế tại Hà Nội được miễn tiền thuê đất ít nhất trong 6 năm, cùng 20 loại phí, lệ phí, hỗ trợ chi phí quảng…

Từ ngày 1/1/2027, chợ, cửa hàng tiện ích tại TP. Hà Nội sẽ không cung cấp miễn phí túi nilon khó phân hủy sinh học và không được lưu hành loại sản phẩm này từ…

Sau hơn 10 năm chủ trương xây dựng, Đà Nẵng vừa phát thông báo mời thầu dự án xây dựng nhà máy xử lý rác thải công suất 1.000 tấn để hỗ trợ giải quyết…

Chủ tịch TP. Cần Thơ Trần Văn Lâu công bố sẽ thưởng nóng 50 triệu đồng, tặng bằng khen đột xuất và thăng chức cho cá nhân giúp thành phố thoát ngập.

Sau chưa đầy 2 năm hoạt động, Nhà máy xử lý rác thành phố Phan Thiết bị buộc phải dừng toàn bộ hoạt động trong 6 tháng để khắc phục các vi phạm pháp luật…

Dự thảo Quyết định của Thủ tướng về kiểm định khí thải xe máy, quy định lộ trình triển khai tại Hà Nội và TP.HCM từ ngày 1/7/2027, thực hiện đồng loạt, không làm cuốn…

Hơn 162 tấn chất thải rắn dược xác định đã bị san ủi, chôn lấp trái phép để giảm chi phí san nền dự án Nhà máy đốt chất thải rắn phát điện Khánh Sơn

Mưa lớn kéo dài từ đêm 22 đến rạng sáng 23/5 khiến nhiều khu vực ở Tuyên Quang ngập trong biển nước.

Bờ sông Ông Chưởng (xã Long Điền B, huyện Chợ Mới, tỉnh An Giang) sạt lở khoảng 70m khiến 10 căn nhà liền kề bị bẻ gãy, nửa phần sau đổ sập xuống sông.

Tôm hùm đất nằm trong danh sách cấm nhập khẩu và nhân nuôi của Bộ Nông nghiệp và Phát triển Nông thôn, Bộ Tài nguyên và Môi trường (nay là Bộ Nông nghiệp và Môi…

Trong cơn mưa đá kéo dài hơn 20 phút tại Mèo Vạc (Hà Giang), nhiều viên đá có đường kính từ 0,5 -1 cm, thậm chí có viên lên đến 2 cm.

Rác thải nhựa, túi nilon, ngư cụ hỏng, lưới ma… được các tình nguyện viên thu gom dọc đường đi, trên bờ biển và dưới đáy biển vùng bảo vệ san hô tại bán đảo…

Tối đêm 12/4, tỉnh Quảng Ninh liên tiếp xảy ra 2 vụ cháy rừng. Lửa phát lên tại khu vực Khe Bốc, thị trấn Bình Liêu, huyện Bình Liêu, bị gió bốc lan rộng, sau…

Nhu cầu cát san lấp tại TP. Cần Thơ được xác định lên tới khoảng 70 triệu m3, với hàng loạt dự án cao tốc, khu công nghiệp.